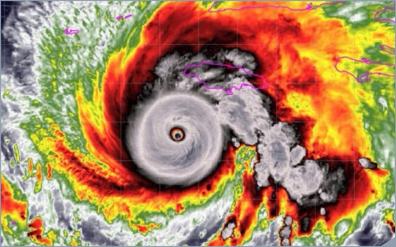
Furacão Melissa, categoria 5, vai chegar na Jamaica na manhã de terça-feira
Com ventos de 280 km/h, o Melissa é agora um dos furacões mais fortes já registrados na bacia do Atlântico, com base nas velocidades máximas dos ventos dessas tempestades. Apenas nove furacões no Atlântico foram mais fortes que o Melissa, embora vários outros também tenham atingido 280 km/h.
O Melissa também é um dos furacões mais fortes que já passaram pelo Mar do Caribe, atrás apenas do Allen, do Wilma, de 2005, do Mitch, de 1998, e do Gilbert, de 1988 – que também foi o último grande furacão a atingir diretamente a Jamaica.
O furacão Allen, de 1980, ainda detém a marca de tempestade mais forte da região, com ventos de 305 km/h.
